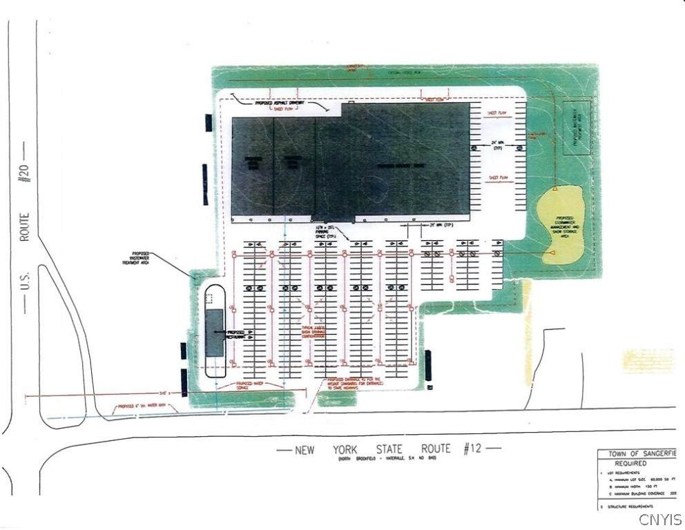
Description
GREAT Development site 10+/- Acres with 606' frontage on NY Route 12 and frontage on US Route 20 providing ingress & egress to all property.Great site for a Truck Stop.Large house on site can be renovated for office or razed for new development.Property can be expanded.Public water, natural gas,3 Phase.Excellent perk.High Visibility.Property is located at intersection of SR 12 and 4 Lane US Rt 20 in Waterville/Sangerfield.Already approved for construction for 80,000 SF bldg. as well as 3 out parcels with excellent exposure.Flanked by destination fine dining Michaels, Titan Homes Mfg, White's Farm Supply,Webb's Lumber,NAPA Auto and National Grain Silos.Major Truck Route with SR12 running north to Watertown & south to Norwich with all points between & beyond.US Route 20 (Cherry Valley Tpke)runs east to west across NYS.ABILITY TO ENTER AND EXIT FROM NY12 & US Rt20.Oneida Co.,Madison Co.,Otsego Co.,Herkimer Co.,Chenango Co.and well over 40 towns & communities to service.AREA NEEDS:Grocery,Pharmacy,Bank/Credit Union,Fast Food/Coffee Shop with Drive Thru,Truck Stop Diner complete with Gas Station and Truck Care Facility.Developer owned will either Sell or Build.SHOVEL READY Property.
-
0BEDS
-
9ACRES
-
0BATHS
-
01/2 BATHS
-
392,697SQFT
-
$2$/SQFT
Description
GREAT Development site 10+/- Acres with 606' frontage on NY Route 12 and frontage on US Route 20 providing ingress & egress to all property.Great site for a Truck Stop.Large house on site can be renovated for office or razed for new development.Property can be expanded.Public water, natural gas,3 Phase.Excellent perk.High Visibility.Property is located at intersection of SR 12 and 4 Lane US Rt 20 in Waterville/Sangerfield.Already approved for construction for 80,000 SF bldg. as well as 3 out parcels with excellent exposure.Flanked by destination fine dining Michaels, Titan Homes Mfg, White's Farm Supply,Webb's Lumber,NAPA Auto and National Grain Silos.Major Truck Route with SR12 running north to Watertown & south to Norwich with all points between & beyond.US Route 20 (Cherry Valley Tpke)runs east to west across NYS.ABILITY TO ENTER AND EXIT FROM NY12 & US Rt20.Oneida Co.,Madison Co.,Otsego Co.,Herkimer Co.,Chenango Co.and well over 40 towns & communities to service.AREA NEEDS:Grocery,Pharmacy,Bank/Credit Union,Fast Food/Coffee Shop with Drive Thru,Truck Stop Diner complete with Gas Station and Truck Care Facility.Developer owned will either Sell or Build.SHOVEL READY Property.
The data relating to real estate on this web site comes in part from the Internet Data Exchange (IDX) Program of NYSAMLS’s. Real estate listings held by firms other than The CNY Niche Team | Hunt Real Estate ERA are marked with the IDX logo and detailed information about them includes the Listing Broker’s Firm Name. Data last updated: 2026-03-07T00:13:56.887.

Listing information © 2026 CNYIS, GENRIS, WNYREIS. Listing provided by Matthew Pryputniewicz of Berkshire Hathaway Home Services CNY : .